For Sale – 169 m² Plot in Vivlos, Naxos

Property overview

ID
2158
Price
€ 100,000
Type
Plot
Contract
Sale
Location
Vivlos / Naxos
Land Area
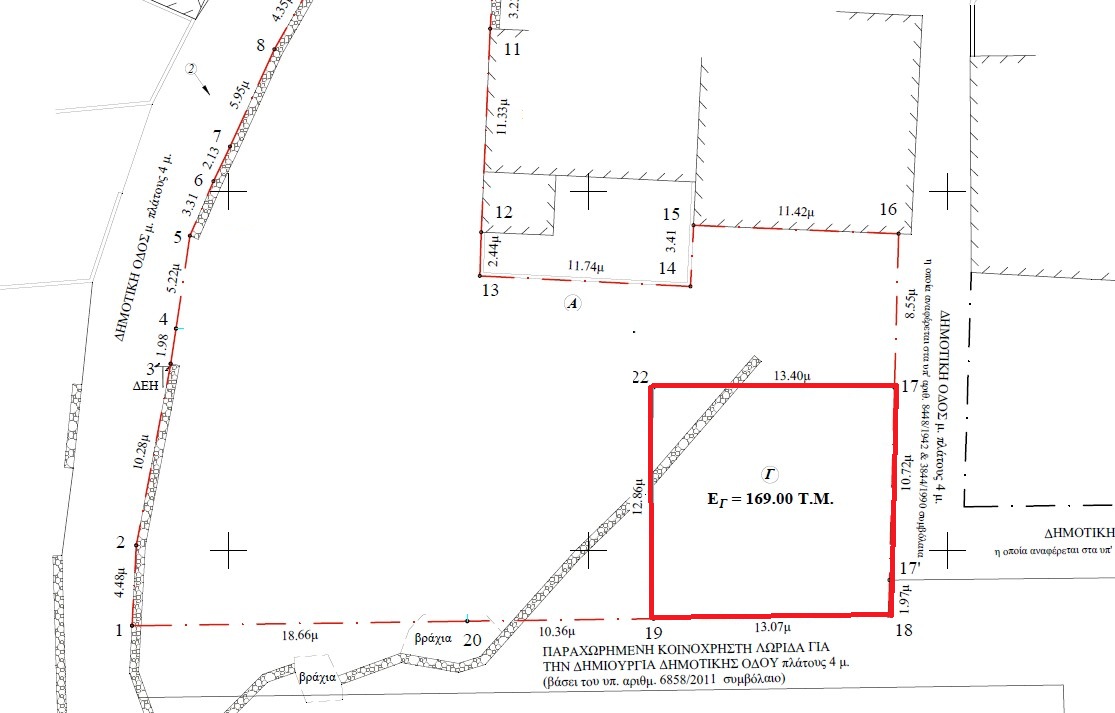
169 sq.m.
Planning Conditions
Yes
Planning Conditions (Residential)
70 Sq.M

Buildable 169 m² plot located within the town plan of the village of Vivlos, on the island of Naxos. The plot allows construction of up to 70 m² for residential use, making it ideal for a small permanent home or a holiday house.
The property is bright, easily accessible, and close to utility connections such as water, electricity, and telecommunications.
Conveniently located only 10 minutes from the beaches of Agia Anna and Plaka (approx. 5 km) and 7 km from the port of Naxos, offering a perfect balance between village tranquility and proximity to the sea and local amenities.
A great opportunity to build your home on the beautiful island of Naxos.

6 Km
City center
7 Km
Port
  • Bathrooms-
  • Bedrooms-
  • Land Area460,90 sq.m.
  • Bathrooms-
  • Bedrooms-
  • Land Area473,19 sq.m.

Compare Properties

No properties found.
Compare

My favourites

No properties found.